S&P500 rósł na zamknięciu o 0,4 proc. i po raz 17. w tym roku ustanowił rekord wszech czasów. Nasdaq, po wzroście o 0,8 proc., poprawił historyczne maksimum 38. raz w tym roku. Dow Jones, głównie z powodu ogłoszonego przetasowania w jego składzie, kończył dzień zniżką o 0,2 proc. We wtorek popytowi sprzyjały doniesienia o odbytych rozmowach przedstawicieli USA i Chin w sprawie realizacji umowy handlowej, co uznano za sygnał odprężenia w relacjach między krajami. Nastroje poprawić mogła także informacja o największej od prawie 14 lat  sprzedaży domów na rynku pierwotnym w lipcu. Negatywnym impulsem okazał się nieoczekiwany spadek w sierpniu wskaźnika nastrojów amerykańskich konsumentów do najniższego poziomu od początku pandemii. O tym, że jej skutki będą jeszcze długo odczuwalne przypomniały American Airlines (-2,2 proc.). W poniedziałek ich akcje mocno drożały pod wpływem doniesień sugerujących względnie szybkie pojawienie się szczepionki na koronawirusa, a dzień później wyraźnie taniały po tym jak przewoźnik ogłosił, że odeśle 19 tys. pracowników od 1 października, kiedy skończy się rządowe wsparcie wynagrodzeń.

W ostatnich miesiącach obserwujemy bardzo silny wzrost amerykańskich indeksów giełdowych. Wielu inwestorów obawia się, że zapowiadana na jesień druga fala pandemii koronawirusa doprowadzi do załamania, którego byliśmy świadkami w marcu. Innego zdania jest profesor Jeremy Siegel, który sądzi, że w najgorszym wypadku czeka nas korekta. Pomimo paniki w połowie marca, wiele amerykańskich indeksów jest już na plusie. S&P 500 zyskał w tym roku 6,59 proc., ale to Nasdaq Composite może się pochwalić wynikiem 27,79 proc. Takie rezultaty budzą strach przed nowym uderzeniem pandemii COVID-19 i ponownym zamrożeniem gospodarek. – To nie będzie poważna korekta, już na pewno nie w okolicach marcowych minimów. Mała pauza, jeżeli dostaniemy tę drugą falę, ale nie sądzę, że to naprawdę zatrzyma długoterminowy impet w górę. – powiedział Siegel telewizji CNBC. Ekonomista zwrócił uwagę, że akcje są aktywami, których duża część wartości pochodzi z zysków uzyskanych dopiero w perspektywie co najmniej 12 miesięcy. Fakt ten ma sprawiać, że rynek będzie odporny na jesienne uderzenie COVID-19, nawet jeżeli dojdzie do spowolnienia gospodarczego.  – Nawet jeśli otrzymanie skutecznej szczepionki zajmie kolejne sześć miesięcy, więcej niż mamy na to nadzieję, to kiedy spojrzymy na płynność, którą zapewnia FED, to jest to naprawdę potężna siła. – twierdzi Jeremy Siegel. Według eksperta, branża technologiczna utrzyma silną pozycję w 2021 roku, a zmuszenie ludzi do pozostania w domach tylko umocni ich wyniki. – Nie sądzę, żeby to oznaczało, że branża technologiczna pójdzie w dół. Płynność, która została dodana do tej branży, już tam pozostanie. Nie zostanie wycofana przez FED, ponieważ bezrobocie pozostanie na wysokim poziomie przez długi czas. Myślę więc, że w 2021 roku jest miejsce na wzrost. – ocenia Siegiel.

Zdaniem weterana rynków kapitałowych, Eda Yardaniego, prawdopodobnie najgorsze uderzenie pandemii koronawirusa dobiegło końca. Uważa, że powinniśmy już obserwować poprawę kondycji spółek, szczególnie w kontekście generowanych przez nie przychodów. Można zaryzykować twierdzenie, że drugi kwartał był najniższy zarówno pod względem przychodów, jak i zysków – powiedział prezes  i założyciel Yardeni Research.

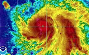
Huragan Laura, który zbliża się do wybrzeży stanów Teksas i Luizjana, może spowodować nawet 18 mld dolaró1) strat w regionie i na miesiące zakłócić pracę największych rafinerii w USA. Amerykańskie Krajowe Centrum Huraganów szacuje, że Laura zbliży się do wybrzeża późno w środę lub wcześnie w czwartek. Z powodu huraganu musiano już częściowo wstrzymać wydobycie ropy i gazu na Zatoce Meksykańskiej, a także zredukowano o jedną trzecią moce produkcyjne w rafineriach w regionie. Laura będzie pierwszym dużym huraganem, który nawiedzi go od 2018 roku.